0 HIGHWAY 190 Highway Mandeville, LA 70471

Other MLS #: 2515755 Courtesy Of Metropolitan Real Estate Services & Associates, Inc

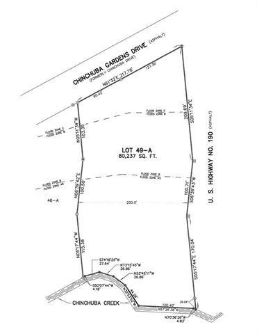
Property InformationDescription

Here is your opportunity to relocate your business to the heart of Mandeville's business area at an excellent price. You have excellent visibility, 480 ft of road frontage and an average lot depth of 200 ft. This property can be subdivided. The NC-1 zoning allows for a minimum lot size of 20,000 square ft for office use. Permitted uses are: Law Offices, Architectural offices, accountant offices, real estate offices, insurance offices, business offices, doctor, dentist, and chiropractor offices, veterinary clinics, and other professional offices. See Zoning attachment for additional uses.

Features

  • Architecture Style: Other
  • Legal Description: As Per Title
  • MLSID: 2515755

MAP & DIRECTIONS

Get Directions
0 HIGHWAY 190 Highway, Mandeville, LA 70471
View Directions
Copyright © 2026 New Orleans Metropolitan Association of REALTORS®. All rights reserved. All information provided by the listing agent/broker is deemed reliable but is not guaranteed and should be independently verified. Information being provided is for consumers' personal, non-commercial use and may not be used for any purpose other than to identify prospective properties consumers may be interested in purchasing.